ID Lokasi : BSB0610102025T002
KEPULAUAN RIAU, KAB BINTAN, Bintan Timur, Gunung Lengkuas
PT SINAR MULTI MAKMUR ABADI
REAL ESTATE INDONESIA
(REI)
Subsidi : 26 Unit
Terjual Subsidi : 1 Unit
Komersil : 0 Unit
Terjual Komersil : 0 Unit
Lihat Siteplan DigitalJl. Ir. Sutami no. 18 KEPULAUAN RIAU, KOTA TANJUNG PINANG, Bukit Bestari, Tanjung Pinang Timur
Telp : 0811699650
Email : pt.sinarmulti18@gmail.com
Website : 0




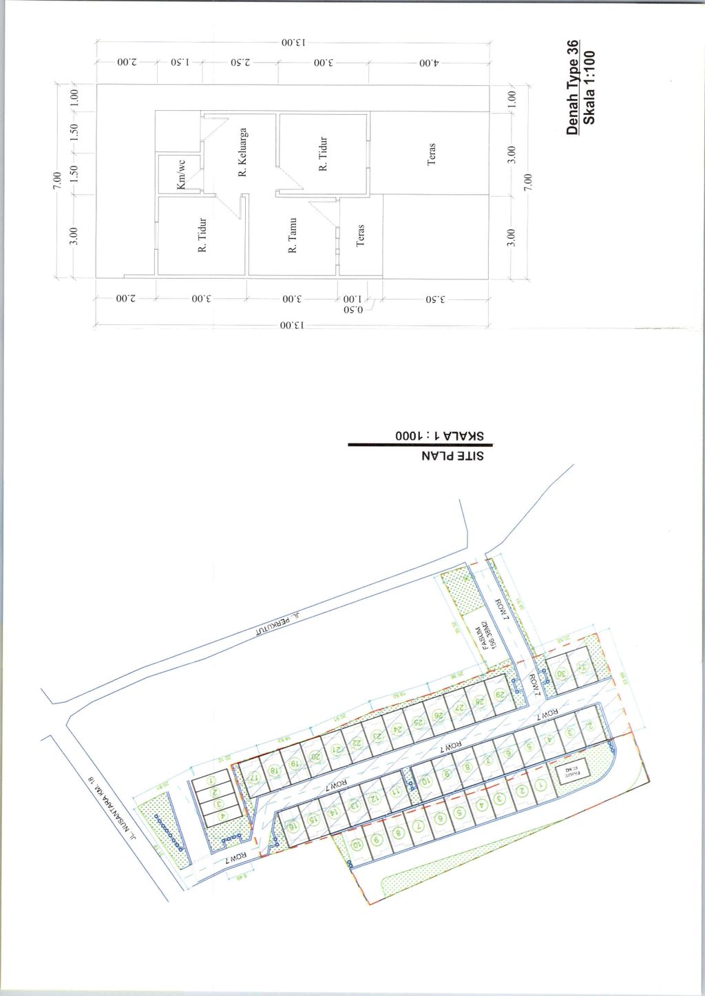
Harga: Rp 173.000.000
Luas Bangunan: 36m 2
Luas Lahan: 84m 2
Kamar Tidur: 2
Kamar Mandi: 1
a. Atap
Spandek
b. Dinding
Batako
c. Lantai & Pondasi
Keramik 40 x 40 Cm & Tapak Beton Bertulang
Jl. Ir. Sutami no. 18 KEPULAUAN RIAU, KOTA TANJUNG PINANG, Bukit Bestari, Tanjung Pinang Timur
Telp : 0811699650
Email : pt.sinarmulti18@gmail.com
Website : 0