ID Lokasi : CKR2220072023T003
            
            JAWA BARAT, KAB BEKASI, Cibarusah, Sindangmulya
            
            PUTRA ATHALAND MANDIRI
            
            PERKUMPULAN ASOSIASI PENGEMBANG PERUMAHAN DAN PERMUKIMAN SELURUH INDONESIA
            (APERSI)
          
Subsidi : 78 Unit
Terjual Subsidi : 89 Unit
Komersil : 0 Unit
Terjual Komersil : 0 Unit
Lihat Siteplan Digital




Harga: Rp 181.000.000
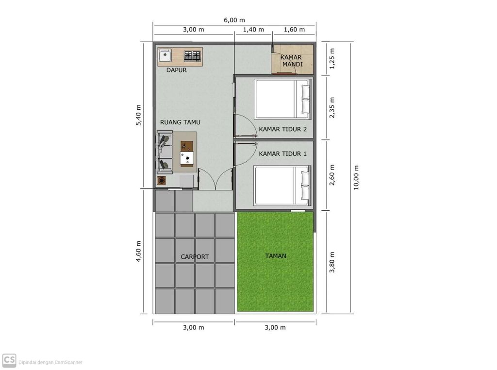
Luas Bangunan: 30m 2
Luas Lahan: 60m 2
Kamar Tidur: 2
Kamar Mandi: 1
a. Atap
                      
                      baja ringan
b. Dinding
                      
                       batako plaster aci
c. Lantai & Pondasi
                      
                      keramik 40 x 40 & batu kali


Harga: Rp 185.000.000
Luas Bangunan: 34m 2
Luas Lahan: 60m 2
Kamar Tidur: 2
Kamar Mandi: 1
a. Atap
                      
                      baja ringan
b. Dinding
                      
                      double dinding
c. Lantai & Pondasi
                      
                      keramik 40 x 40 & batu kali


Harga: Rp 185.000.000
Luas Bangunan: 30m 2
Luas Lahan: 60m 2
Kamar Tidur: 2
Kamar Mandi: 1
a. Atap
                      
                      BAJA RINGAN
b. Dinding
                      
                      DOUBLE DINDING
c. Lantai & Pondasi
                      
                      KERAMIK 40 X 40 & BATU KALI