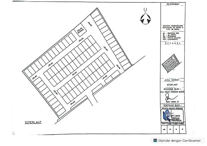
ID Lokasi : RAP0210072023T001
SUMATERA UTARA, KAB LABUHANBATU, Rantau Selatan, Pardamean
PT INTI KREASI PERKASA
Himpunan Pengembang Permukiman dan Perumahan Rakyat
(HIMPERRA)
Subsidi : 23 Unit
Terjual Subsidi : 69 Unit
Komersil : 0 Unit
Terjual Komersil : 0 Unit
Lihat Siteplan Digital




Harga: Rp 150.500.000
Luas Bangunan: 36m 2
Luas Lahan: 98m 2
Kamar Tidur: 2
Kamar Mandi: 1
a. Atap
Rabung, Rangka Baja, Resplang, Genteng Metal
b. Dinding
Batu Bata
c. Lantai & Pondasi
Keramik & Beton